It's late on a Friday afternoon as I write this, having gathered up some pictures to share.
I had a morning cuddle with Babu. He loves his ears rubbed, his tail pulled,
loving love-
a funny boy.
It's been a changeable week for weather, and today is much the same, this morning's sky quite moody
a view past where the old shed once stood
the grape vines on Wally's jerry-rigged trellises under the laundry line
There is a tree or three above the lilacs that is/are blooming now
with something like a cherry leaf; I haven't a clue what it is (as it mixes in with the maples)
The lupin field is still a source of wonder for me.
looking ESE
I marvel at its beauty.
There are a few pink ones.
Their rarity makes them more special somehow
their blossoms up close
The honeysuckle is starting to bloom.
Mixed in with our lilac and maple perimeter are wild roses,
budding profusely from a serious pruning last fall
You can just see a pink petal beginning to show in the one on the far right
As I wander up the perimeter of our property, I come to where Wally has placed the stash of plants we've found on sale- out of the heat of the sun until they're planted.
This one is identified as a pincushion, looking very much like the centre of an Echinacea to me
This sweetie pie is an anemone
We didn't know it is considered ground cover
its exquisite centre
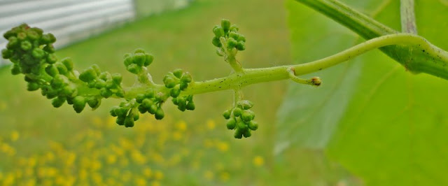
As I turn, I come to the grapevine
with a stem of grapes, still buoyant under its light load
though it will soon become so heavy that it must hang
the purple lupin plant that Wally left on one corner of the vegetable gardern, looking toward a hill full of hawkweed, or as we've always called it, Indian Paintbrush
looking toward the garden with Wally's various bean and pea trellises
Lupin flowerets
Lower Lupin Flowerets about to go to seed
In the left corner of the vegetable garden, the poppy is happily ensconced, though the first bloom couldn't take the extremes in heat, wind and rain we had earlier this week;
it is just a knob of seedhead now (in the upper right).
These two poppies look well, with more buds coming along.
On the far side of the vegetable garden, the baby peaches are coming in
They look strong
As I turn the kale is closest to me with the baby mesclun lettuces all ready to be used
Walking back to the house the huge hydrangea stand
with a myriad of buds.
There will be so many of these summer snowballs soon
Leaving the mass of hydrangea (at the top of this picture) I wander over to the middle garden
where Wally has planted his new Queen Elizabeth rose in the middle. He has wanted a rose for so long and we found this beauty on sale because of wind damage earlier in the week.
A fungus is growing on the old ash stump (that stands to the right of the last shot)
Forget-me-nots continue to bloom.
The allium are on their way out leaving a beautiful seed head,
with nubs similar to the baby grapes that I showed you earlier.
Two flies on an allium stem are engaged in fly love.
I'm thinking that our mould infested Ninebark shrub has passed on its ailment to its flower on the left.
The hosta shade garden along the side of garage with some unknown exotics
the old ash beyond the Japanese Maple
the Echinacea on the left with forget-me-nots beside it, the lavender below, in the composter garden
The Sage flowers have bloomed, like mini orchids.
The thyme flowers are beautiful too.
thyme, up close and personal
This fly let me get awfully close as it perched on the cement sheep sculpture
As I backed away, you can still see it there, but the point is that Wally has been planting up some flower pots for me and set out these sculptures, the dog being one I made about 15 years ago that cracked in the firing as it was made in a friend's studio from scrap clay that didn't mix well.
I've finally come inside to work on these photos, and this is how I get greeted.
Muji had been watching me the whole time from the back window, as is his wont.
He gets off his perch on the windowsill and is over to the side door before I make it into the house.
I hope you enjoyed this walk through the garden with me.
I think I may have some more to share with you by Monday.
til then...
peace in our hearts,
accepting what we cannot change,
changing what we can



















































0 comments:
Post a Comment